Rural Investment Opportunity
Marsden Road, Marsden
Deadline Sale - 12.00pm, 10 April 2026 (Unless Sold Prior)
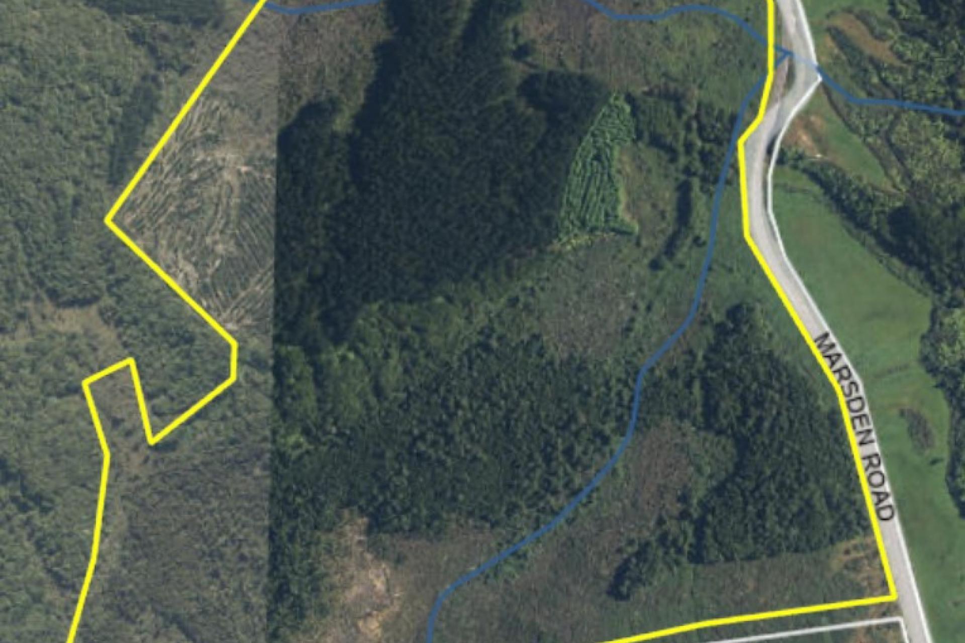
43.29ha
Viewing times
There are currently no scheduled open homes.
Discover the potential of this well-located 43 ha rural block in the sought-after Marsden area, just 15 minutes from Greymouth.
This versatile property offers a mix of native bush and developing forestry, making it ideal for investors or lifestyle buyers seeking long-term opportunity.
Approximately 8 ha of 7 year old Radiata Pine. Including an exploration permit for gold mining is in place and included with the sale.
The property is well tracked throughout the block, is suitable for 4WD vehicles and the terrain is a mixture of flat to gently undulating land.
The balance of the property is in established native trees, adding natural beauty and future value.
Investment options include, forestry expansion, mining potential, possible subdivision opportunities and or land banking for future growth.
A superb location, conveniently located in a peaceful rural setting yet only a short drive to Greymouth, offering the best of both worlds.
Call now or email for further information.
"Deadline Sale closing Friday 10th April 2026 at 12.00pm (unless sold prior). Price is + GST (if any).
Please note: Land and floor area measurements are approximate, and boundary lines indicative only. Reasonable efforts have been made to source information from reputable sources. We do not, however, warrant its accuracy or fitness for any purpose. Purchasers should independently verify information through a due diligence investigation if it is relevant to their decision to purchase.